98 sqm / 1060 sqft
250 sqm / 0.06 acre
Link detached house
3 bed, 2 recep, 2.5 bath
Driveway / off street parking
Freehold
EPC - C / 72
Council tax band - D

A modern three-bedroom, two-bathroom link-detached family home, positioned in a quiet cul-de-sac with off-street parking and a private rear garden backing onto school playing fields. Conveniently located in the northern part of Cambridge, just off Arbury Road, the house offers well-balanced accommodation over two floors and easy access to local schools, amenities, and transport links.


Step through the front door into a practical, spacious reception hall with stairs rising to the first floor and space for coats and shoes, a cloakroom with a modern white two-piece suite. Sitting room, a bright and comfortable space with a large front-facing window and central access into the rest of the home. Double doors lead into the dining room, offering a natural flow for entertaining and everyday family dining.


To the rear, the kitchen/breakfast room features modern cabinetry, generous worktop space, and integrated appliances. French doors open onto the rear garden, making it ideal for indoor-outdoor living.


First Floor, The stairs lead up to a well-laid-out landing with access to all three bedrooms and the family bathroom. The main bedroom sits at the front of the property and includes a modern en suite shower room, while bedroom 2 overlooks the rear garden and school playing fields beyond. Bedroom 3 is also a good-sized double, positioned to the side of the house. The family bathroom is centrally located and fitted with a full-size bath, basin, and WC.

A modern three-bedroom, two-bathroom link-detached family home with off-street parking and a garden backing onto school playing fields, tucked away in a quiet cul-de-sac just off Arbury Road in north Cambridge. No chain.


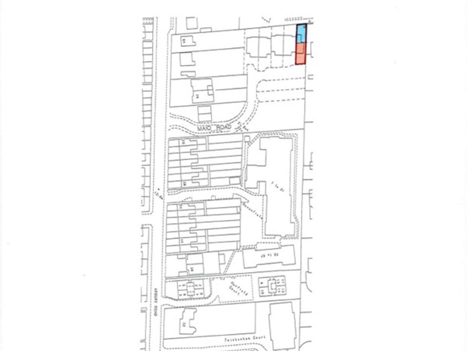
Maio Road is situated off Arbury Road, close to Milton Road, just over 1.4 miles north of Cambridge City Centre. The area is well placed for access to Cambridge North Train Station, the Science and Business Parks and the A14/M11 road networks.


The property falls within the catchment of all level schools, including Arbury Primary School and the Chesterton Community College. Cambridge Regional College is also within easy walking distance.


The surrounding CB4 area is becoming well-known for its trendy cafés and bars, and local shopping facilities are available on Milton Road and Arbury Court, which includes a doctor's, dentist, hairdressers, post office and bakery, all of which are within walking distance. There is also a late-opening Tesco Local close by.


Cyclists are well catered for with a dedicated cycleway nearby, adjacent to the Guided Busway, providing safe access to the Science Park and Cambridge North from where London can be reached in under an hour.